
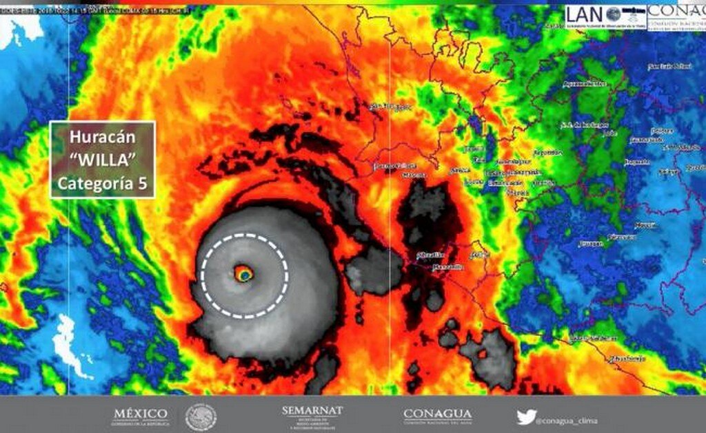
El Servicio Meteorológico Nacional indicó que el meteoro se localiza a 55 kilómetros al oeste-suroeste de Islas Marías Nayarit y a 205 km al sur-suroeste de Mazatlán, Sinaloa

Segob declara emergencia en 19 municipios; CFE cuenta con plan de contingencia en 6 estados

Por la cercanía del huracán, Protección Civil declaró en alerta verde las costas de Sinaloa, Jalisco y Nayarit

El ciclón se localiza a 215 kilómetros al suroeste de Cabo Corrientes, Jalisco y a 280 kilómetros al sur-suroeste de las Islas Marías

El huracán generará tormentas dispersas en Michoacán, Colima y Sinaloa

El ciclón presenta vientos sostenidos de 155 k/h y rachas de hasta 195 k/h; se localiza a 365 kilómetros al sur-suroeste de Playa Perula y a 435 kilómetros de Cabo Corrientes

Revelan nuevas cifras, tras localizar más cadáveres en el estado de Florida

El presidente de EU dijo que "la prioridad del Gobierno es proporcionar alimentos, electricidad y seguridad a las víctimas"; al menos 19 personas han muerto tras el paso de la tormenta en estos estados

"Michael" tocó tierra el miércoles en Florida como un huracán categoría cuatro y vientos de 250 kilómetros por hora, sólo 2 kilómetros por debajo del máximo de categoría cinco

Las autoridades temen que el número de muertos pudiera aumentar en los próximas horas






















